If you ask me what is the hardest thing to teach a private pilot student, I think I would say, getting them comfortable with talking to air traffic controllers. I think there is a natural fear of not saying the right thing or getting yelled at by ATC. I get it. It can be scary to interact in a communication system that sounds alien for the first time.
Let’s start by saying that ATC is your friend. They are there to make sure you don’t hit anyone and stay alive. You are not the first student pilot they talked before. They have seen it all. So, there is no point of being scared to talk to ATC. Air traffic controllers are incredibly patient people who go above and beyond to accommodate student pilots. In this blog post, I will cover basic ATC communications for towered airports, class delta and charlie, and VFR flight following.
Class Delta Airport Communications
Most class delta tower communications will be very similar with slight differences specific to that airport. One of the big differences is that if the tower controller has access to radar, they will issue you a squawk code so that they can see your airplane in their computer screen. They will not however, unlike terminal area controllers, issue you headings or altitudes (more on this later). They are simply using the radar screen as a situational awareness tool. It so happens that busiest class delta towers get radar screens, but most class delta towers don’t have them.
Departure
There are two parts to departing from a towered airport, taxi and departure. Regardless of the tower having access to radar or not, departure communications will almost always be the same. First, you must get the current weather information, ATIS. It will be something like this:
“Georgetown ATIS information Charlie, current time 1353 Zulu. Wind 350 degrees at 10 knots. Visibility 10 miles. Scattered clouds at 5,000 feet. Temperature 15 degrees Celsius, dew point 5 degrees Celsius. Altimeter 29.92. Landing and departing runway 36. Visual approach in use. Bird advisories in effect. VFR traffic advise your direction of departure and if you need run-up. Advise you have information Charlie.“
Once you get your ATIS, you know the active runway. It is always a good idea to look at the airport map to see what taxi directions you may get to the active runway. Some airports also have designated run-up areas. In the example of Georgetown Airport, each runway has a run-up area near the beginning of the runway, as well as a run-up are near taxiway charlie. Your initial call to the ground controller for taxi request must include these information, in this order, who you are, where you are, and your intentions. Tune into the ground frequency, and say this:
“Georgetown Ground. Skyhawk 1234Q is holding short of hotel near blue condos with information Charlie. VFR to the west. Run-up required.“
Ground controller will then give you a taxi clearance to the runway, with the assumption that you will perform your run-up at the run-up box near the beginning of the runway, or a taxi clearance to a designated run-up area.
“Skyhawk 1234Q, taxi to runway 36 via hotel, terminal ramp, foxtrot, lima, cross runway 29 at lima.“
If you wish to pick up VFR flight following on the ground, there are slight changes and some additional information that needs to be communicated with the ground controller. VFR flight following is an awesome tool that is at your disposal to make your flight safer. There is a lot to talk about VFR flight following and how that works. Please read another of my blog posts to learn more: VFR Fligth Following Guide. The following only explains how the initial ground call and response will differ if you are requesting VFR flight following from the ground controller before taxi.
Some class delta airports have ability to issue you VFR flight following before departure. If they can’t they will simply tell you that they can’t and give you a frequency which you can possibly pick up VFR flight following from the approach controller in the air. At Georgetown airport, they can issue VFR flight following on the ground before you taxi. That will change the communication with the ground controller slightly, so the initial taxi request from the ground controller will sound something like this instead:
“Georgetown Ground. Skyhawk 1234Q is holding short of hotel near blue condos with information Charlie. Run-up required. Request VFR flight following to San Angelo Airport, sierra, juliet, tango (SJT). C172 slant golf, cruise altitude 8500 feet.“
In this case, the ground controller will generate a strip in the ATC system so that approach controller can identify you once you are airborne. The response from the ground controller will be this:
“Skyhawk 1234Q, taxi to runway 36 via hotel, terminal ramp, foxtrot, lima, cross runway 29 at lima. Squawk 3155, departure frequency 119.0.”
Just to reiterate, if you ask for a flight following, you will be given a squawk code, and a departure frequency to talk to the approach/departure controller after departure.
You will simply read back the instruction and start taxing. In this case, your taxi clearance limit is runway 36. You are allowed to taxi all the way to the beginning of the runway, once again, with the assumption that you will perform the run-up near the beginning of the runway. Depending on traffic on the ground at the airport, you may get an instruction like this:
“Skyhawk 1234Q, taxi to runway 36 via hotel, terminal ramp, foxtrot, lima, hold short of runway 29 at lima.“
In this case, your taxi clearance limit is runway 29. You will taxi all the way to runway 29, and you will stop at the hold short line at lima taxiway. You will have to wait there until you get another taxi clearance clearing you to cross runway 29 and taxi to runway 36. Sometimes the run-up area near the runway is full, in which case, the ground controller may ask you to perform your run-up somewhere else, like this:
“Skyhawk 1234Q, taxi to charlie run-up area via hotel.“
Once again, your taxi clearance limit is the run-up area near the charlie taxiway. You will read back the taxi instructions, and taxi to the run-up area near charlie taxiway. Once you performed your run-up there, you must ask for another clearance to taxi to the runway, like this:
“Georgetown Ground. Skyhawk 1234Q. Run-up complete. Request taxi to runway 36.“
For which, you will receive instructions like this:
“Skyhawk 1234Q. Taxi to runway 36 via alpha, foxtrot, lima, cross runway 29 at lima.“
Once you get to the runway hold short line, you will switch over to the tower frequency. Once you complete your hold short checklist, you should first look at he final to see if there are any planes coming into landing. It is a good idea to look at your EFB to see if there are any traffic on final as well. If there is an airplane on short final, there is no point of calling tower for a take off clearance. They will not clear you to take off in front of landing traffic on short final, I can guarantee you that. Once you verify there is no airplanes on short final coming into land, then you can ask for a take off clearance.
“Georgetown Tower. Skyhawk 1234Q. Holding short of runway 36 at lima, ready for VFR departure to the west.”
It is likely that the ground controller already informed tower controller (sometimes they are the same person) of your direction of flight, but it does not hurt to say again. Your take off clearance will sound something like this:
“Skyhawk 1234Q. Left turn on course, runway 36 cleared for take off.”
Unless there are other reasons for tower controller to talk to you, for emergencies or traffic, that’s will be the last time you will hear from them. Some tower controllers may call you and say “frequency changed approved” once you get closer to leaving Class D airspace.
If you picked up VFR flight following on the ground, there will be one more radio call that the tower controller will do once you are airborne, usually at 500-600 feet AGL or so.
“Skyhawk 1234Q. Contact Austin departure at 119.0. Have a good day!”
You will then read back the instruction and contact Austin departure.
“Contact Austin departure. Have a good day! Skyhawk 1234Q“
Arrival
Depending on if the tower controller has radar screen or not, the arrival communication will have a slight difference. If the tower controller has radar, then in initial contact, they will issue you a squawk code so that they can see you in the radar screen. If not, you will not get a code and won’t have to enter anything to your transponder. Additionally, this assumes that you have already received the current ATIS at least 15 miles from the airport. You will then make your initial call to the tower within no less than 10 miles from the airport.
“Georgetown Tower. Skyhawk 1234Q 10 miles to the west, inbound with information charlie. Full stop.“
Once again, who you are, where you are, what are your intentions. If you want to get to the airport for pattern practice and touch and goes, then your call should be this:
“Georgetown Tower. Skyhawk 1234Q 10 miles to the west, inbound with information charlie. Request pattern practice, touch and goes.“
If you are lucky and the pattern is not already full, then you may get what you asked. If not, the tower controller may tell you that pattern is full, in which case you can ask for a full stop landing or go some other airport for practice. After the initial call to the tower controller, you will get this reply:
“Skyhawk 1234Q. Squawk 0353. Enter right downwind runway 36.“
You then read that back and enter the squawk code into your transponder. Sometimes they ask you to enter the code first, then issue pattern instructions once they see you in the radar screen. If the tower does not have radar screen, they will not give you a squawk code, instead ask you to report once you are over a certain point or certain miles away from the airport. This is where the call may be different for each airport.
Once you entered the downwind as instructed, you may get a landing clearance to land, or a request to extend your downwind if the airport is busy.
“Skyhawk 1234Q. Extend your downwind. I will call your base.”
In this case, they want you to keep flying on downwind and not turn on base until they tell you to do so. The most likely reason is that there is someone already on final and they do not want you to cut in front of them.
Once you land, tower may ask you where you want to park, or ask you to contact ground controller. If it is the former, and you ask for a taxi to the fuel pumps, they will read you the taxi clearance to the fuel pumps. If they ask you to contact ground, then you will stop the airplane once you exited the runway and pass hold short line, clean up the plane, then contact ground controller for taxi instructions to the fuel pumps:
“Georgetown Ground. Skyhawk 1234Q. Exited the runway at Juliet. Request taxi to fuel pumps.”
Watch out for the “monitor ground” instructions by the tower controller. If the airport is not busy, the tower controller may give you taxi instructions to the pump without asking you to contact ground, in which case, they may say “monitor ground”. The expectations is that once you exit the runway, you will switch over to the ground frequency, but not call them since you already have your taxi instructions from the tower controller. You will simply commence your taxi and listen the ground frequency in case the ground controller needs to talk to you for whatever reason.
Class Charlie Airport Communications
Class charlie airports are busier than delta airports and things get a bit more complicated. Most of the tower and ground communication will be quite the same though. The main difference is that you must get a squawk code on the ground for departure as well as before entering into the Class C airspace for the arrival.
Departure
Departing from a charlie airport is a bit more complicated than departing from a delta airport. When you depart from a delta airport, such as Georgetown Airport (KGTU), you will first enter Class D airspace which is controlled by the tower controller which you are already talking to, then Class E airspace as you climb and get away from the airport. Unless you are doing VFR flight following, you do not need to speak with any controller within Class E airspace. In a charlie airport however, such as Austin-Bergstrom Airport (KAUS), you will enter Class C once departed then you must always talk to the approach/departure controller until you leave the Class C airspace. Additionally, due to high volume of traffic in a charlie airport, they have a separate frequency named Clearance Delivery for pilots to contact first to get their departure clearance before contacting the ground controller for taxi requests. What we discussed for departing delta airport would still apply here such as getting the ATIS first, then looking at the airport diagram to predict what taxi directions you may get. I will focus on the additional communication that you will have in a charlie airport below.
So, assume you are parked in front of the FBO at Austin-Bergstrom Airport, in your plane, already received weather information, completed run-up (it is very likely you will perform your run-up within the uncontrolled ramp area near the FBO where you parked) and ready to taxi for departure. You would first contact Clearance Delivery.
“Austin Clearance Delivery. Skyhawk 1234Q is at the FBO. VFR departure to the east.“
Clearance Delivery controller -sometimes it may be the same controller running both clearance delivery and ground on separate frequencies- will reply back.:
“Skyhawk 1234Q, Departing runway 36 Left. Squawk 0243 Departure frequency 119.0. Advise ground when ready to taxi.“
If you wish to pick up VFR flight following on the ground, you must advise clearance delivery controller that you wish to do so by adding the destination airport and cruise frequency.
“Austin Clearance Delivery. Skyhawk 1234Q is at the FBO. Request VFR flight following to San Angelo Airport, sierra, juliet, tango (SJT). C172 slant golf (C172/G), cruise altitude 8500 feet.“
Clearance Delivery controller’s response will be same as before.
“Skyhawk 1234Q, Departing runway 36 Left. Squawk 2788. Departure frequency 119.0. Advise ground when ready to taxi.”
The only difference here is that now you have received a non-local squawk code which means instead of departure/approach controller cutting you loose after existing Class C airspace, they will transfer you to a center controller. It will be Houston Center in this example.
You will simply read back the squawk code and departure frequency. At this point, you configure the transponder with the squawk code, and switch over to the ground frequency.
“Austin Ground. Skyhawk 1234Q is at the FBO with information Delta. Ready to taxi.“
Ground controller will reply:
“Skyhawk 1234Q, Taxi to runway 36 Right via kilo, bravo, hold short of runway 36 Right at bravo.”
After reading back the taxi instructions, you will begin taxing to the runway.
The rest of the communications with the tower controller will be same as any other towered airport. You will switch over to tower frequency when holding short of the runway, and advise the tower that you are ready for departure. The tower will then clear you to take off. Upon airborne, tower controller will ask you to contact the departure controller, in this case Austin Departure. Please note, unlike class delta airport, regardless of you requested VFR flight following or not, you will always be given a squawk code and a departure frequency when departing from a class charlie airport, hence, you must expect to be handed over to the departure controller shortly after departing from the runway.
Skyhawk 1234Q. Runway heading, runway 36 Right cleared for take off.”
Read back the take off clearance and commence the take off.
“Skyhawk 1234Q. Contact Austin departure at 119.0. Have a good day!”
You will then read back the instruction and contact Austin departure.
“Contact Austin departure. Have a good day! Skyhawk 1234Q“
Once you switch over to the departure frequency. you will quickly realize that the controller is very busy. Class charlie airports are usually very busy with a lot of traffic, including airliners, landing and taking off. If you can find a gap of silence, make your initial call which should include your last assigned direction of flight by the previous controller, which would be tower, the altitude you are leaving, and climbing to.
“Austin Approach. Skyhawk 1234Q runway heading, leaving 1100, climbing 8500.”
Austin approach will already know which direction you need to go, so, traffic permitting, they may keep you on a heading assignment, or issue a your own navigation instruction.
“Skyhawk 1234Q. Left on course approved. Your own navigation.”
You then start turning to the left (west since that is what you told clearance delivery controller, remember!) towards your intended destination. Your own navigation simply means that the controller does not observe any conflicting traffic from where you are, and your direction of flight until you leave Class C. However, they expect you to fly towards west-bound within a reasonable degree of error. If you suddenly start turning north, for example, the controller may call and ask you of what you are doing, even thought they told you that you can do your own navigation. Upon reaching the border of Class C airspace, the controller will make one last call.
“Skyhawk 1234Q. Leaving Class C airspace, squawk VFR, frequency change approved.”
You will then enter 1200, change the radio to whatever frequency you wish (monitoring 121.5 guard frequency is always a good idea). At this point, you are in Class E airspace and you are not required to talk to anyone if you do not want to.
If you picked up VFR flight following on the ground, instead of cutting you loose upon existing Class C airspace and getting outside of the radar coverage of Austin departure, the departure controller will hand you over to the next controller which will be a center controller.
“Skyhawk 1234Q. Contact Houston Center at 132.35. Have a good day!”
Arrival
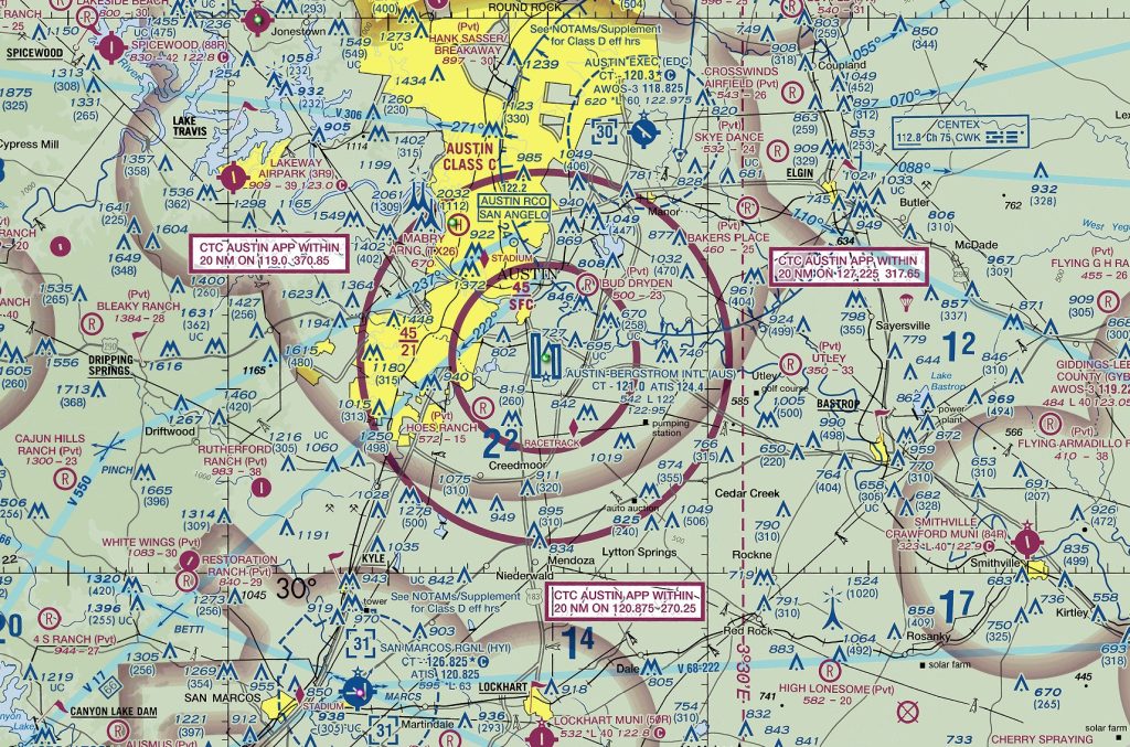
The arrival to a class charlie airport will practically be the reverse of departing from it. As always, you would get the weather information at least 20 miles away from the airport. Then you will contact the approach controller to let them know your intentions. A common question I get is how do I know what frequency to use to call the approach controller. Lets take a look at Austin Class C airspace depicted on the VFR chart:

As you can see on the VFR chart, there are three rectangle boxes conveniently placed on north-west, north-east, and south of Class C airspace. The text in the box says “Contact Austin Approach within 20 miles on” and a frequency. So, if you are flying from the west, then you would contact Austin approach on 119.0. The initial call will be:
“Austin Approach. Skyhawk 1234Q. Over Lakeway Airport. Request full stop landing to Austin Airport. Information Delta.”
The approach controller will then assign you a squawk code so that they can see you in the radar screen.
“Skyhawk 1234Q. Squawk 1325. Expect runway 36 Right.”
At this point, the approach controller has you in the radar screen, and provide vectors and traffic guidance upon entering Class C airspace with the intent to get you to land on runway 36 Right. They may give you a downwind entry, or an extended base entry depending on traffic situation. Once you are established on final for runway 36 Right, the approach controller will ask you to contact the tower controller. Once you contract the tower, letting them know you are on the final for 36 Right, you will get your landing clearance and the rest of the communication will be same as class delta airport with taxi clearances to send you wherever you need to go to park which will be most likely an FBO since charlie airports do not have transient parking areas.
What’s up with “IDENT”?
On the face of every transponder device located in the cockpit, there is a small button with a label saying “IDENT”. When you contact an approach controller, and given a squawk code, or after departing from an airport with a squawk code entered in your transponder already, the approach/departure controller may ask you to “IDENT”. They are simply asking you to press the IDENT button on the transponder. They do this because it is hard for them to see your traffic target on their radar screens. When you press IDENT button on your transponder, your little target symbol on the radar screen will turn bold and begin to flash. That way, the controller will be able to find your airplane in the radar screen and start talking to you.
As always, let me know if you have any questions. Happy flying!
